Uno de los huracanes más poderosos del Caribe.
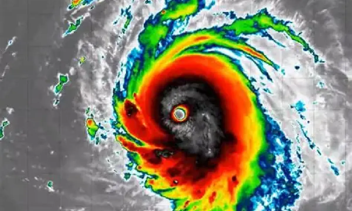
El huracán Melissa aumentó su intensidad y alcanzó este lunes la categoría 5, la más alta en la escala Saffir-Simpson que mide la velocidad de sus vientos sostenidos, informó el Centro Nacional de Huracanes (NHC) de Estados Unidos.
El fenómeno atmosférico se desplaza por el oeste del mar Caribe en dirección al sur de Jamaica, con vientos máximos sostenidos de 260 kilómetros por hora. El tiempo «empeorará» en la isla durante toda esta jornada y en la noche, con «vientos destructivos, marejadas ciclónicas e inundaciones catastróficas», advirtió el organismo.
Se espera que Melissa toque tierra en la pequeña nación caribeña en la mañana del martes y se convierta en el huracán más fuerte en azotar directamente su territorio en décadas, señala la agencia AP. Más adelante, es probable que llegue al este de Cuba, donde se ha emitido una alerta de huracán para las provincias de Granma, Santiago de Cuba, Guantánamo y Holguín, y una de tormenta tropical para Las Tunas.
«Se espera que las marejadas generadas por Melissa afecten partes de La Española, Jamaica, el este de Cuba y las Islas Caimán durante los próximos días, y las Bahamas, las Islas Turcas y Caicos, y Bermudas a finales de esta semana. Es probable que estas marejadas causen condiciones de oleaje y corrientes de resaca potencialmente mortales», indicó el NHC.
